Bugün, 15 Şubat 2026 Pazar

Yenimahalle'de Trafo Alanı İçin İmar Planı Değişikliği Onaylandı

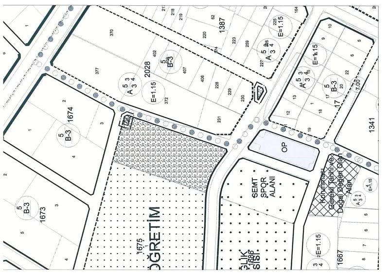
Yenimahalle 1674 ada 3 parselin güneyindeki alanda 'Trafo Alanı' amaçlı Uygulama İmar Planı değişikliği, belediye meclis kararlarıyla kabul edildi ve bir ay süreyle askıya çıkarıldı.

BELEDİYE365 4.02.2026 14:14:57 0
Yenimahalle

Yenimahalle 1674 ada 3 parselin güneyindeki alana 'Trafo Alanı' amaçlı Uygulama İmar Planı (UİP) değişikliği teklifi, Bandırma Belediyesi Meclisi'nin 7 Ekim 2025 tarih ve 92 sayılı kararı ile kabul edildi.

Büyükşehir Onayı ve Askı Süreci

Onaylanan plan değişikliği teklifi, daha sonra Balıkesir Büyükşehir Belediyesi Meclisi'nin 13 Ocak 2026 tarih ve 107 sayılı kararı ile onandı. 3194 sayılı İmar Kanunu'nun 8/b maddesi uyarınca, değişiklik bir ay süreyle ilan edilmek üzere askıya çıkarıldı ve Bandırma Belediyesi'nin internet sitesinde yayınlandı.

İlan Duyurusu

Konuyla ilgili taraflara ilanen duyuruldu. Duyuru tarihi 3 Şubat 2026 olarak belirlendi.


Balıkesir,Bandırma Belediyesi

Balıkesir,Bandırma Belediyesi
belediye365.com
Haber Kaynak : BELEDİYE365
Pazar 17.6 ° / 6.8 °
Pazartesi 10.2 ° / 6.7 °
Salı 12.5 ° / 7 °